Auflage / Ergänzung in Vorbereitung 2024 / 25
Herausgeber Alfred Werner Maurer
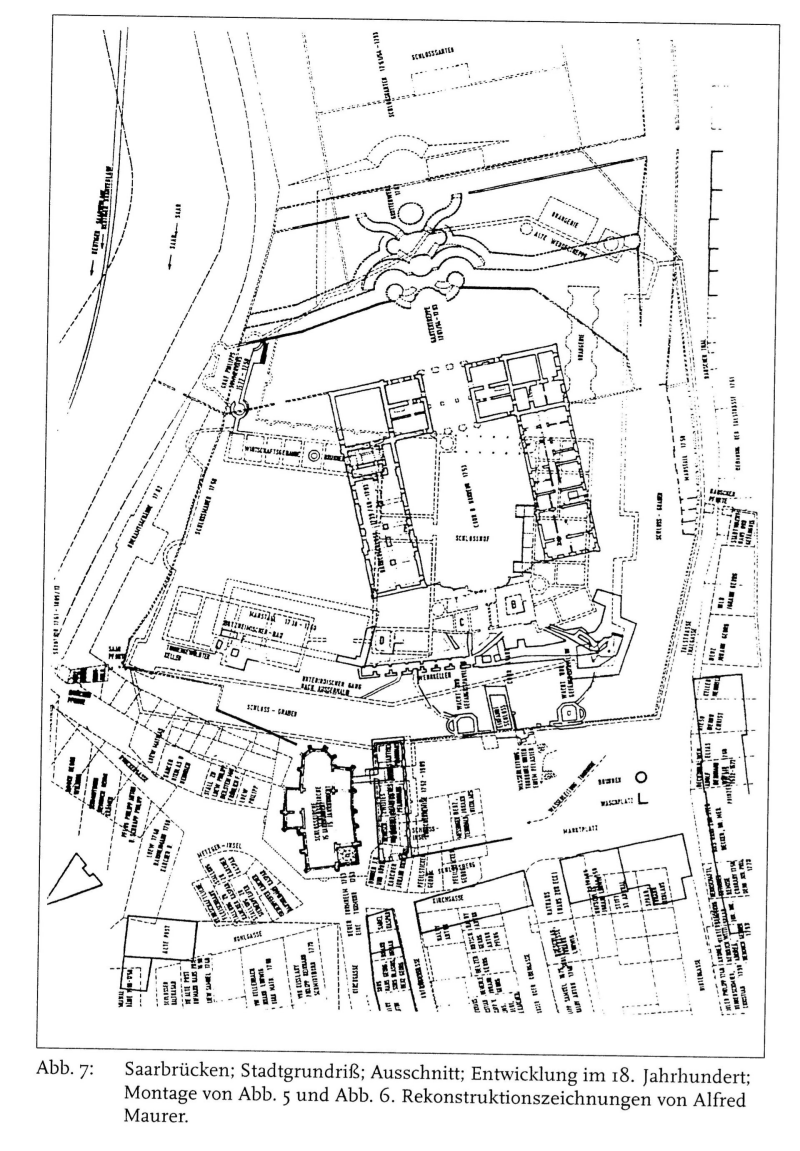
Die Erforschung des Barockschlosses Saarbrücken 1739-1748
Autoren Erich Fissabre und Alfred Werner Maurer

Rekonstruktionszeichnung des Mittelpavillon / Hofseite
von Erich Fissabre und Alfred Werner Maurer

Barockschloss Saarbrücken, Hauptfassade Nord - Sicht zum Eingang mit Ehrenhof (aus Lohmeyer 1911, Abb.45)

Ansicht des Barockschlosses Saarbrücken mit Ehrenhof und Schlosshof nach 1760 (Saarland Museum Saarbrücken)







Lageplan des Renaissance-Schloss von Erich Fissabre und Alfred Werner Maurer

Lageplan des Barock-Schlosses von Erich Fissabre und Alfred Werner Maurer



rekonstruiert nach der Bauaufnahme und nach den publizierten Plänen von F. J. Stengel, Bilder und Dokumenten und Literatur und von der Besichtigung, Aufmessungen und rekonstruiert nach der Bauaufnahme und nach den publizierten Zeichnungen, Fotos, Bildern, Dokumenten und Literatur des von F. J. Stengel geplanten Dornburger Schlosses
Beschreibung, Detailsn und Forschung hierzu
- Erich Fissabre, Alfred werner Maurer: Gestaltbild Barockschloss Saarbrücken 1739–1748. Methoden, Arbeitsweisen, Quellen der Rekonstruktion. Selbstverlag, 1980.



Barockschloss Saarbrücken, Grundrisse








Barockschloss Saarbrücken, Hofseite

Schloss Saarbrücken, Aufriss der Seitenfassade Ost (aus Lohmeyer 1911)

Barockschloss Saarbrücken Ostansicht Früher Vorentwurf - der Mittelpavillon hat an den Seitenflügel ein niedrigeres Mezzaningeschoss und keine Lisenengliederung (aus Lohmeyer 1937, Abb.47)



Barockschloss Saarbrücken - Spätbarocke Schlossgarten, Traktus 1780 - 82 mit nördlich Ehrenhof und Schlosshof, östlich begrenzt durch die Saar und westlich durch die Talstraße

Schlossbrand im Jahr 1793 - Gemälde -
während der französischen Revolution brennt der saarseitige Schlossflügel, die anderen Schlossteile werden geplündert

Barockschloss Saarbrücken - Erhaltene Reste der Renovation des Schlosses von den Torgewölben von der Belle Etage und die Torgewände der Belle Etage vom Mittelpavillon vom rechten Treppenhaus zu dem Mittelpavillon

Barockschloss Saarbrücken - Erhaltene Reste der Renovation dieses Schlosses von den Torgewölben von der Eingangshalle im Erdgeschoss und die Torgewände der belle Etage vom Mittelpavillon zu den Treppenhäusern in den Seitenflügel

Nordansicht auf den Mittelrisalit und die beiden Seitenflügel und der Ehrenhof, Maßstab 1: 50
rekonstruiert nach der Bauaufnahme und nach den publizierten Plänen von F. J. Stengel, Bilder und Dokumenten und Literatur
Vorstufe der ersten Rekonstruktionspläne unter Berücksichtigung der Bauaufnahme und der im Buchformat wiedergegebenen Ausführungspläne von Friedrich Joachim Stegel.
Die Ausführungspläne Friedrich Joachim Stengel wurden zusammen mit vielen Zeichnungen Köllners zu den Gartenanlagen des barocken Saarbrücken Anfang des Jahrhunderts in Hamburg von Lohmeyer entdeckt. In seiner 1911 geschriebenen Monographie über F. J. Stengel und 1937 in seinem Buch "Südwestdeutsche Gärten des Barock und der Romantik" veröffentlicht. In den Wirren des 2. Weltkrieges gingen die Originalpläne verloren. Diese Publikationen stellen die einzigen Pläne die neben dem Baubefund die einzig "originale" Grundlage der Hochzeichnung dar. Die von Lohmeyer Werkpläne, veröffentlich im Buchformat, sind nach dem Bestand der noch vorhandenen barocken Substanz die Ausführungspläne F. J. Stengels bei den Bauarbeiten.

Seitenansicht des Barockschlosses von Osten, Maßstab 1: 50
rekonstruiert nach der Bauaufnahme und nach den publizierten Plänen von F. J. Stengel, Bilder und Dokumenten und Literatur

Schnitt durch das Treppenhaus des Barockschlosses, Maßstab 1: 50,
rekonstruiert nach der Bauaufnahme und nach den publizierten Plänen von F. J. Stengel, Bilder und Dokumenten und Literatur

Ausführungsplan Grundriss Rez de Chausée, Maßstab 1: 50 ,
rekonstruiert nach der Bauaufnahme und nach den publizierten Plänen von F. J. Stengel, Bilder, Dokumenten und Literatur

Ausführungsplan Grundriss premier au Belle Etage , Maßstab 1: 50
rekonstruiert nach den publizierten Plänen von F. J. Stengel, Bilder, Dokumenten und Literatur

Ausführungsplan Grundriss Second Etage, Maßstab 1: 50
rekonstruiert nach den publizierten Plänen von F. J. Stengel, Bildern, Dokumenten und Literatur
Zu den Details der v.g. Pläne siehe hierzu auch das veröffentlichte Buch
- Erich Fissabre, Alfred Werner Maurer, Gestaltbild Barockschloss Saarbrücken 1739–1748. Methoden, Arbeitsweisen, Quellen der Rekonstruktion. Selbstverlag, 1980.

Schloss Dornburg, Mittelrisalit, hofseitige Fassade,
entworfen von dem von Friedrich Joachim Stengel nach dem Bau des Saarbrücker Schlosses (Foto um 1966, Landesamt für Denkmalpflege und Archäologie Sachsen-Anhalt, Halle, Archiv)

Schloss Dornburg, Hofansicht Mittelpavillon (Landesamt für Denkmalpflege und Archäologie Sachsen-Anhalt, Halle, Archiv, Gunar Preuß)

Schloss Dornburg, Mittelrisalit, Balustrade

Schloss Dornburg, Mittelrisalit, Ovalfenster des 3ten Geschosses

Barockschloss Dornburg, Hoffassade mit Eingang, Eigenhändiger Entwurf von Friedrich Joachim Stengel, der Plan wurde oben auf der rechten Blattseite von ihm rechts beschriftet (Ermitage St. Petersburg)

Schloss Dornburg, Ansicht der Hofseite, um 1926/28
(Landesamt für Denkmalpflege und Archäologie Sachsen-Anhalt, Halle, Archiv)

Schloss Dornburg, Teilansicht der Gartenansicht um 1930 (Foto: Dr. Hennig, Kassel

Schloss Dornburg, Gartenterrasse, um 1926 /28 (Landesamt für Denkmalpflege und Archäologie Sachsen-Anhalt, Halle, Archiv)

Schloss Dornburg, Grundriss Erdgeschoss vor 1954 (mit beiden Treppenhäuser (nach Loymeyer 1911)

Schloss Dornburg, Grundriss Rez-de Chausée von J.W. Christ nach Angaben von F.J. Stengels,
Raumbeschriftungen von Fürstin Johanna Elisabeth von Anhalt-Zerbst (Ermitage St. Petersburg)

Schloss Dornburg, Grundriss premier belle Etage von J.W. Christ nach Angaben von F.J. Stengels,
Raumbeschriftungen von Fürstin Johanna Elisabeth von Anhalt-Zerbst (Ermitage St. Petersburg)

Barockschloss Dornburg - Schnittzeichnungen mit den beiden Treppenhäuser links und rechts des Mittelpavillon und dem Zugang zum Festsaal im 3. Obergeschoss und Querschnitt und Randdetails des Festsaales (Lohmeyer 1937)

Schloss Dornburg, Grundriss Rez-de Chausée mit Zugang zur Kellertreppe
(Landesamt für Denkmalpflege und Archäologie Sachsen-Anhalt, Halle Gunar Preuß)

Schloss Dornburg, Treppenhaus premier belle Etage zum 3ten Obergeschoss mit Festsaal
(Landesamt für Denkmalpflege und Archäologie Sachsen-Anhalt, Halle Gunar Preuß)

Landschloss Grundriss Premier Etage, Entwurf Du Cerceau

Landschloss Grundriss Deuxieme Etage, Entwurf Du Cerceau mit linken und rechten Treppenhaus

Landschloss Eingangsseite, Entwurf Du Cerceau mit linken und rechten Treppenhaus

Barockschloss Weissenstein - Pommersfelden Typ des Saarbrücker Schlosses : Das von Lothar Frans von Schönborn bereits 1711 bis 1716 drei- und viergeschossig erbauten Barockschloss Weissenstein in Pommersfelden.
Ehrenhof

Barockschloss Weissenstein - Pommersfelden
Mittelrisalit - Ehrenhof

Barockschloss Weissenstein - Pommersfelden
Gartenseite

Barockschloss Weissenstein - Pommersfelden
Ehrenhof und Vorbauten

Barockschloss Weissenstein - Pommersfelden
Ehrenhof mit Vorbauten

Schloss Dreiflügelanlage Grundriss des Rez-de Chaussée, Entwurf

Würzburger Schloss-Residenz - M. von Welsch, Grundriss (aus: Württembergische Landesbibliothek Stuttgart, Sammlung Nicolai)

Würzburger Schloss-Residenz - gezeichnet von Friedrich Joachim Stengel ? (aus SB, Bestand Pläne 4°, Nr.:44)

Maison de plaisance, 1737, Gartenfassade - J.F. Blondel, dreigeschossig mit Mittelpavillon
(siehe Titze 1995, S. 170ff; Titze (Dornburg) 1995, S. 109ff) mit Eingangstreppe

Château Rohan in Straßburg , 3-geschossig mit Mittelpavillon, ohne Eingangstreppe
PHILOLOGUS-EDITION